“God made Scotland the most beautiful country on Earth ⛰️, but gave it the worst weather🌧️.” After the Farne Islands trip’s let down last year, we chased redemption in the Lochs this February, where even wind and rain couldn’t dampen this adventure!
Day 0 – Friday
I would not use the phrase “as usual” because this time, the drive was 7 long hours 🙃! Anyways as usual, we loaded our kit and set off for the Highlands in two cars. Listening to Thomas’s CD on repeat for 3 hours was definitely not on my bucket list.
It was not long until we were cruising along the Glens of snowcapped mountains. We then harboured our beyond fatigued bodies into our caravan before heading down to Dunoon to collect tanks and lead. The Man, the Myth, the Legend, Liam Crossley joined us shortly after.




Day 1 – Saturday
Before the sun even had a chance to rise, we were already enroute to our dive site at Loch Striven, Brackley Point! Will and I did some macro-photography along the sunken barge while the twin-sets went for depth.
The sunken barge was littered with crabs, hermit crabs, shrimps, four carnivorous nudibranchs (Favorinus Bilanus) and one lobster. Plenty to see for the two dives!





After refilling our tanks, five of us went down to our night dive site near our abode, Ardentinny Beach. Suiting up at the carpark, we walked 200 meters to our entry point in complete darkness .
“Graveyard” was the word we used to describe this dive site. Among the carpets of fallen leaves lay shrimps whose eyes gleamed in the dark as our torchlight struck them. We spotted a Bullhead fish and Tom collected a plastic toy water gun 🔫.


Day 2 – Sunday
Bright and early, we headed to Holy Loch for our next dive at Graham’s Point! Tom and Liam were the only ones to have found a wreck. Other than a couple of rubber tyres, there was nothing much else to see here 😕. Great scenery though!


With our kit packed up, we then took a scenic drive through the mountains to Loch Long to Conger Alley, to find some, you guessed it, Conger Eels!
The smell of kelp and excitement filled the air. Having parked the cars along the busy highway, we had to lug the tanks and kit across the road like Crossy Chicken.
At a depth of 8–10 metres lay a rocky reef, where a family of two to four conger eels sheltered between the rocks. Unfortunately, some of us went too deep and missed the reef completely.




Despite protests about how hungry we were, five of us decided to attempt a night dive at Ardnadam Pier before dinner!
Ronan and Alex bravely set off into the calm dark waters. However, the pair aborted the dive at the surface due to strong currents and difficulty descending. This was welcome news for our stomachs as we scurried back for dinner!
Day 3 – Monday
“Save the Best for Last”
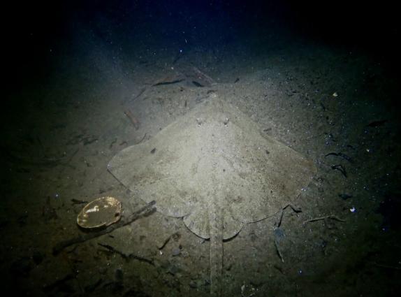
With a quick munch of breakfast, four of us headed to St Catherines Pier for a cheeky morning dive before heading home. After some parking issues, we drove up a little further to an alternate entry point, where an elderly couple were fishing off the pier. It turned out to be less of a reef dive, and more of a muck dive.

The usual residences of hermit crabs and shrimps can easily be spotted here. Liam and I found what must have been 6 – 7 😏 enormous firework anemones and we could not resist playing with their tentacles. A skate was caught trying to bury itself in the silt, a colourful sea mouse crept along the bottom while a chiton chilled on a rock.






We then bidded farewell to Liam and began our 7hrs journey back to Warwick 🫠
Car unloaded. Kit washed. Room locked. We headed straight to the Duck where we joined Push members for a much needed pint 🍻.

Thank you all for making this trip memorable 😁 Here’s to many more!
Scotland crew: Thomas, Ronan, Liam, Will, Ray, Freddie, Alex


Leave a Reply